7000000
37 Greenwich Road, Greenwich, NSW 2065
LMR - OPPORTUNITY FOR 4 TORRENS TOWNHOMES
This rare and exciting near level site invites developers to secure a unique opportunity under the new state government LMR rezoning in the heart of the Greenwich peninsula.
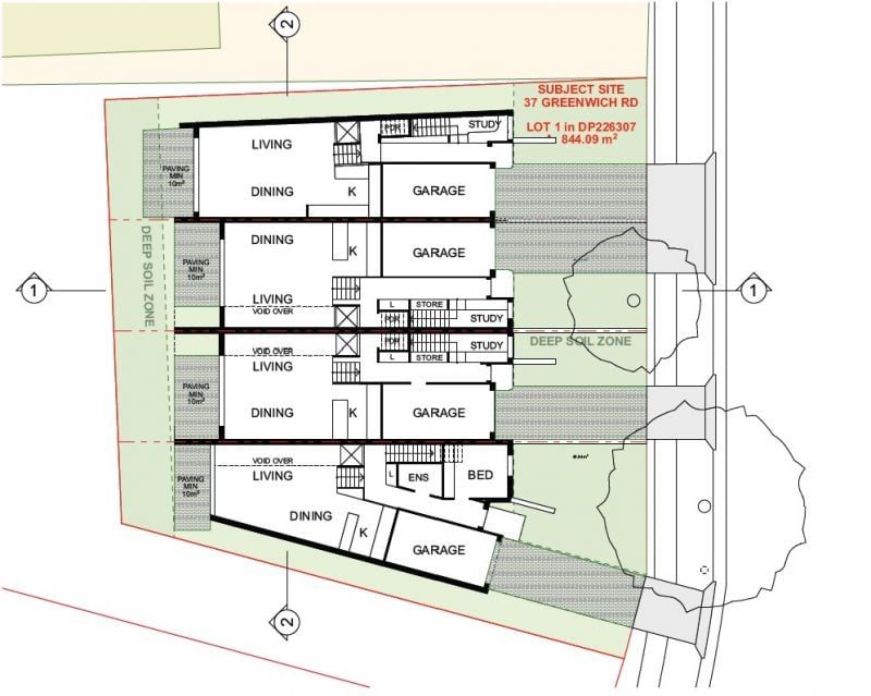
With 32.8m frontage and an 847sqm block, a planning study commissioned by the Vendor (report available) supports the construction of four luxury Torrens title town homes (STCA).
The existing residence provides excellent rental income while DA approval is sought, in a prestige harbourside location near shops, rail and ferry.
- Level 847sqm parcel with wide 32.8m street frontage
- Zoned LMR under new state government rezoning
- Scope to develop four luxury Torrens title town homes (STCA)
- Existing home offers solid rental income potential
- Prestigious Greenwich peninsula location, 7km from CBD
- 400m to Greenwich Village shops, cafés and primary school
- 600m level walk to Wollstonecraft Station and ferry options
- Developer-ready site in a tightly held harbourside market
Project website: www.37greenwich.com.au
Planning report available on request.
Given this is a development site, we are hosting "walk the land" inspections 11-11:30am every Saturday for the duration of the campaign. We understand there may be some interest in viewing the house that is situated on the land. Contract holders will be able to book an inspection with us to view the house if that is necessary for their due diligence. This will be strictly by appointment for serious interested parties only.
*All information contained herein is gathered from sources we consider to be reliable. However, we cannot guarantee its accuracy and interested persons should rely on their own enquiries.
Property Info
Thank You
Your enquiry has been sent!
Enquiry is Failed
Please contact your administrator.