$845,000 - $895,000
129 Koorlong Avenue, Nichols Point, VIC 3501
Approved Nichols Point Childcare Centre Site - Ready to Begin Building!
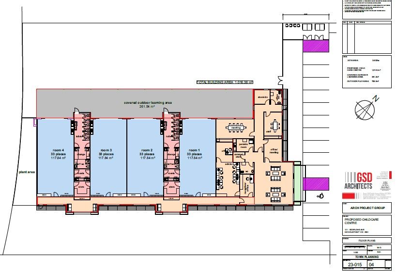
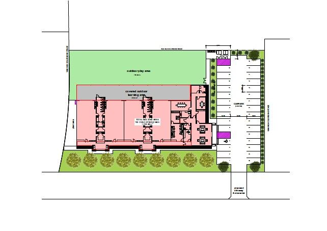
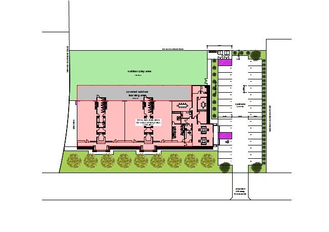
Outstanding opportunity to secure a fully approved site, ready to start building on in the middle of Nichols Points growing residential area, just a short stroll to Nichols Point Primary School, new Kindergarten & Early Learning Centre and parkland. With concept plans for a state of the Art 132 Child spaces Childcare Centre. Zoned Neighbourhood Residential 1 - NRZ1, and set on nearly an acre of land (3,756m2), with 81m frontage to Koorlong Avenue, permit for proposed 132 Max. child spaces Childcare Facility, 30 space carpark, and offering easy access for drop-off and pick up. With the rapid growth and popularity with Nichols Point, especially for young and growing families - don't miss this outstanding opportunity!
Property Info
Municipality
Nichols Point
Thank You
Your enquiry has been sent!
Enquiry is Failed
Please contact your administrator.