$23,000 + GST Gross
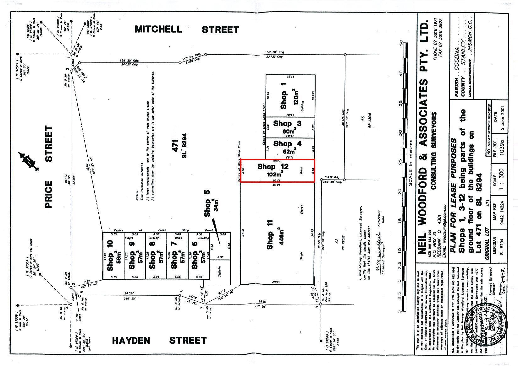
12, 28 Mitchell Street, Riverview, QLD 4303
Riverview Retail or Offices
- 102*m2 Site 
- Ducted Air-conditioning
- Extensive Car parking on site
- Supermarket; Post Office, Chemist are the surrounding businesses
- Available 1st August 2023
Servicing the Riverview community this neat and tidy site with kitchenette and own exclusive staff amenities.
Part of the local neighbourhood shopping complex, others in complex include a Convenience Supermarket, pharmacy, Post Office, Community Centre etc. This complex has an abundance of well placed parking.
Suitable for Retail or Office.
Property Code: 1622
                        
                    - Ducted Air-conditioning
- Extensive Car parking on site
- Supermarket; Post Office, Chemist are the surrounding businesses
- Available 1st August 2023
Servicing the Riverview community this neat and tidy site with kitchenette and own exclusive staff amenities.
Part of the local neighbourhood shopping complex, others in complex include a Convenience Supermarket, pharmacy, Post Office, Community Centre etc. This complex has an abundance of well placed parking.
Suitable for Retail or Office.
Property Code: 1622
Property Info
Municipality
                            Riverview
                        Thank You
Your enquiry has been sent!
Enquiry is Failed
Please contact your administrator.
 Email Us
                        Email Us