$1,550,000
Lot 232 High Street, Lawrence, NSW 2460
LARGE LOT SUBDIVISION AWAITS!
This 34 Acre / 13 Hectare holding at Lawrence offers a fantastic opportunity for developers hoping to take on a lucrative large lot subdivision project in one of the Clarence Valleys growth areas.
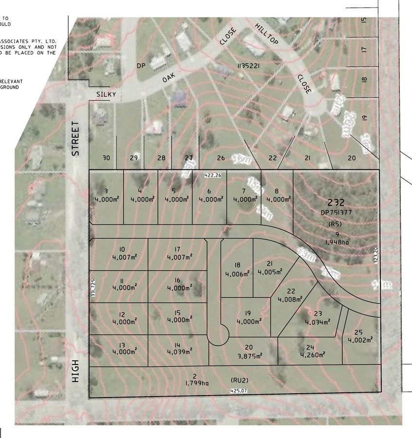
This holding offers a chance to develop 24 lots which is essentially the first stage in a larger potential 57 lot subdivision. The current owners have investigated the project with Clarence Valley Council by way of a Development Management Meeting who have stated in writing that the project is permissible and setting out conditions for the eventual lodgement of a DA.
The proposed project would offer one acre / 4000 sqm lots to rural-residential buyers looking to buy and build in the wonderful location close to Lawrence's charming village that offers top quality primary school, hotel, ferry access to Maclean and magnificent frontage to the Clarence River.
Recent developments of this type in Gulmarrad, Clarenza and Junction Hill have proven highly popular with lot buyers and the potential to make a serious amount of money is very much on the table. The land has very little slope and the project would include on site septic systems to the eventual houses meaning the developer would not be liable for expensive connection to mains sewer. A recent development next door of the same type proceeded well and is now totally built out.
Consider the written advice of Council, inspect the land, do your sums and secure this development site so you can take the project on a reap the rewards!
This holding offers a chance to develop 24 lots which is essentially the first stage in a larger potential 57 lot subdivision. The current owners have investigated the project with Clarence Valley Council by way of a Development Management Meeting who have stated in writing that the project is permissible and setting out conditions for the eventual lodgement of a DA.
The proposed project would offer one acre / 4000 sqm lots to rural-residential buyers looking to buy and build in the wonderful location close to Lawrence's charming village that offers top quality primary school, hotel, ferry access to Maclean and magnificent frontage to the Clarence River.
Recent developments of this type in Gulmarrad, Clarenza and Junction Hill have proven highly popular with lot buyers and the potential to make a serious amount of money is very much on the table. The land has very little slope and the project would include on site septic systems to the eventual houses meaning the developer would not be liable for expensive connection to mains sewer. A recent development next door of the same type proceeded well and is now totally built out.
Consider the written advice of Council, inspect the land, do your sums and secure this development site so you can take the project on a reap the rewards!
Property Info
Municipality
Lawrence
Thank You
Your enquiry has been sent!
Enquiry is Failed
Please contact your administrator.