SOLD
Lot 4, Unit 7, 70 Northcott Drive, Kotara, NSW 2289
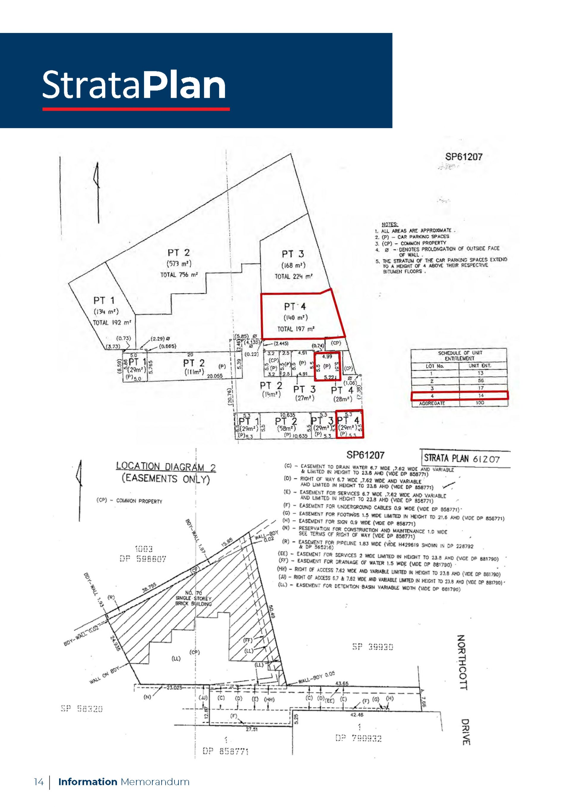
STRATA TITLED COMMERCIAL SUITE
Comprising a net lettable area of 140m² (approx) plus 4 on-site car parks.
Previously leased to dental practice for 18 years who have relocated to larger premises.
Existing fitout remains which is ideally suited to medical use.
Situated between Westfield Shopping Centre and Kotara Homemaker Centre.
Previously leased to dental practice for 18 years who have relocated to larger premises.
Existing fitout remains which is ideally suited to medical use.
Situated between Westfield Shopping Centre and Kotara Homemaker Centre.
Property Info
Municipality
Kotara
Thank You
Your enquiry has been sent!
Enquiry is Failed
Please contact your administrator.