SOLD
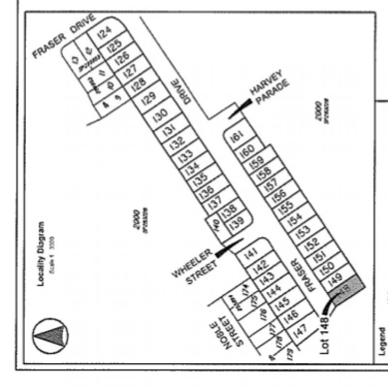
lot 148 Fraser drive, Burpengary East, QLD 4505
LAND FOR SALE
The phone enquiry code for this property is - 2857
Registered land and ready to build on.
Flat block with wide 14.5m frontage.
Land size 464m2
Quality North Harbour estate.
                        
                    Registered land and ready to build on.
Flat block with wide 14.5m frontage.
Land size 464m2
Quality North Harbour estate.
Property Info
Municipality
                            Burpengary East
                        - 464 Sqm
Sale By Home Owner Brisbane City
GPO Box 2002
Brisbane City, QLD 4000
Tel: +611300841864
NEARBY PROPERTIES
 
                Sale By Home Owner
Thank You
Your enquiry has been sent!
Enquiry is Failed
Please contact your administrator.
 Email Us
                        Email Us