SOLD
117 Barden Ridge Road, Reedy Creek, QLD 4227
The Best Vacant Block in Reedy Creek
The phone enquiry code for this property is - 2433
UNDER CONTRACT
Arguably, the best vacant block in Reedy Creek for your dream home.
Why?
It captures incredible panoramic views of :
The Water plus
The Trees plus
The Gold Coast Sky lights
Without the traffic, congestion or noise.
Plus, just down the road await peaceful walks or an energetic ride in the 100 Hectare Reserve.
Only two neighbours on a huge, elevated 1166sqm block with a perfect North East facing.
No wonder everyone wants to be in the prestigious Observatory Estate. Close proximity to some of the Gold Coast's best private schools including St Andrews, Hillcrest, King's Christian College and Somerset College. Childcare and Woolworths are only few minutes away as well as Reedy Creek Shopping Village, parks/reserves and even a huge off leash area for your fur baby.
Access is ideal with the M1 motorway only a few minutes away providing an excellent connection to everthing the coast and hinterland has to offer. Due to its geography, there will always be a large amount of undeveloped land in Reedy creek making it a haven for nature and peace.
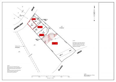
Full survey work has already been recently done and available for you to take to your builder or you can chat to a few builders who have already worked on a plan to turn this block into your ideal home. The neighbours all well on their way to completeing their build next door leaving this block ready to go.
PHOTOS INCLUDE EXAMPLE DESIGNS FOR THIS BLOCK
Quote from Perry Homes (one of the builders available) "We can build the Altitude 27 for around $390,000 full turn key so this includes everything from start to finish. That’s a fairly good indication of what a buyer would be looking in total for this design. Of course there are some variables in this but it includes our premium level of finishes."
This wont last long and could be your piece of paradise!
UNDER CONTRACT
Arguably, the best vacant block in Reedy Creek for your dream home.
Why?
It captures incredible panoramic views of :
The Water plus
The Trees plus
The Gold Coast Sky lights
Without the traffic, congestion or noise.
Plus, just down the road await peaceful walks or an energetic ride in the 100 Hectare Reserve.
Only two neighbours on a huge, elevated 1166sqm block with a perfect North East facing.
No wonder everyone wants to be in the prestigious Observatory Estate. Close proximity to some of the Gold Coast's best private schools including St Andrews, Hillcrest, King's Christian College and Somerset College. Childcare and Woolworths are only few minutes away as well as Reedy Creek Shopping Village, parks/reserves and even a huge off leash area for your fur baby.
Access is ideal with the M1 motorway only a few minutes away providing an excellent connection to everthing the coast and hinterland has to offer. Due to its geography, there will always be a large amount of undeveloped land in Reedy creek making it a haven for nature and peace.
Full survey work has already been recently done and available for you to take to your builder or you can chat to a few builders who have already worked on a plan to turn this block into your ideal home. The neighbours all well on their way to completeing their build next door leaving this block ready to go.
PHOTOS INCLUDE EXAMPLE DESIGNS FOR THIS BLOCK
Quote from Perry Homes (one of the builders available) "We can build the Altitude 27 for around $390,000 full turn key so this includes everything from start to finish. That’s a fairly good indication of what a buyer would be looking in total for this design. Of course there are some variables in this but it includes our premium level of finishes."
This wont last long and could be your piece of paradise!
Property Info
Municipality
Reedy Creek
NEARBY PROPERTIES
Thank You
Your enquiry has been sent!
Enquiry is Failed
Please contact your administrator.