Price by negotiation
201 Loganlea Road, Loganlea, QLD 4131
LOGANLEA HOTSPOT - DEVELOPMENT OPPORTUNITY
Subject to Logan City Council approval this unit site will yield 24 units/apartments
Features of the site include:
Total land area – 1027 M (nearly ¼ acre)
Existing dwelling – 3 bedroom home plus granny flat. The dwelling has open plan living areas, cathedral ceilings with exposed beams & air conditioning. The main house and the granny flat will give very good rental to income(estimated up to $500.00/wk) You can invest now and develop later if you wish.
This property is located within easy commuting distance to important amenities,
- Approx 600M to the Logan hospital
- Nearly 1km to University, the Logan TAFE, private hospital & the new Woolworths
Shopping Centre
Within walking distance to:
- Train station – 200M – Linked Brisbane / Gold Coast
- Schools
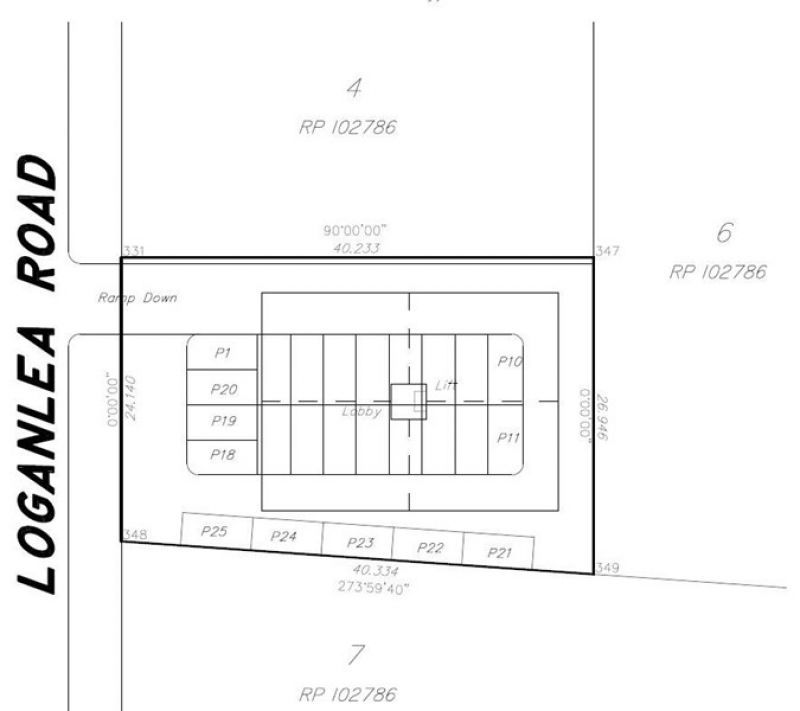
PROPOSED DEVELOPMENT
The concept plans & the development summary given in the advertisement are done by a development consultant and the minutes of the pre lodgement meeting with Logan City Council is available on request.
Proposed Development Summary:
Description Lots
Proposed units 24
Units per floor 4
Total 24
For more information please call Godfrey on 0401 887 386
Disclaimer: The information provided to the recipient is to assist the recipient and the professional advisors to decide whether to proceed to acquire an interest in the subject property. The discloser does not make or give an express or implied guarantee, representation or warranty regarding i) the accuracy or completeness of the information or ii) whether reasonable care has been or will be taken in compiling, preparing and furnishing the information.
Features of the site include:
Total land area – 1027 M (nearly ¼ acre)
Existing dwelling – 3 bedroom home plus granny flat. The dwelling has open plan living areas, cathedral ceilings with exposed beams & air conditioning. The main house and the granny flat will give very good rental to income(estimated up to $500.00/wk) You can invest now and develop later if you wish.
This property is located within easy commuting distance to important amenities,
- Approx 600M to the Logan hospital
- Nearly 1km to University, the Logan TAFE, private hospital & the new Woolworths
Shopping Centre
Within walking distance to:
- Train station – 200M – Linked Brisbane / Gold Coast
- Schools
PROPOSED DEVELOPMENT
The concept plans & the development summary given in the advertisement are done by a development consultant and the minutes of the pre lodgement meeting with Logan City Council is available on request.
Proposed Development Summary:
Description Lots
Proposed units 24
Units per floor 4
Total 24
For more information please call Godfrey on 0401 887 386
Disclaimer: The information provided to the recipient is to assist the recipient and the professional advisors to decide whether to proceed to acquire an interest in the subject property. The discloser does not make or give an express or implied guarantee, representation or warranty regarding i) the accuracy or completeness of the information or ii) whether reasonable care has been or will be taken in compiling, preparing and furnishing the information.
Property Info
Municipality
Loganlea
- 1,027 Sqm
@realty Surfers Paradise
Australia
Surfers Paradise, QLD 4217
Tel: 1300299377
NEARBY PROPERTIES
580 & 588 Chambers Flat Rd,
LOGAN RESERVE
Land/Development
4 Sqm
Godfrey & Niluka Warusevitane
Thank You
Your enquiry has been sent!
Enquiry is Failed
Please contact your administrator.